After Typhoon Kalmaegi claimed over 200 lives, Super typhoon Fung Wong to hit Philippines
Ahead of Super Typhoon Fung-Wong's arrival on Sunday lashing Catanduanes and nearby areas with life-threatening winds and coastal flooding
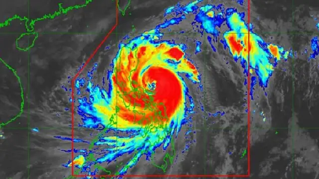
Manila: Ahead of Super Typhoon Fung-Wong’s arrival on Sunday lashing Catanduanes and nearby areas with life-threatening winds and coastal flooding, the Philippines evacuated hundreds of families, local media reported.
The country’s state weather bureau PAGASA warned that the typhoon, which is called Uwan locally, could bring violent winds, torrential rain, and storm surges up to three metres high.
Typhoon Fung Wong was expected to enter the Philippine Area of Responsibility on Friday night or early Saturday while moving generally westward before turning west-northwestward.
Today it struck the Philippines’ eastern coast with maximum sustained winds of 205 kilometres per hour and gusts up to 250 kph, causing flooding and storm surges in Catanduanes and nearby provinces.
The tropical cyclone, which was categorised as a super typhoon, is forecast to make landfall over the southern portion of Isabela or the northern portion of Aurora late Sunday or early Monday.
The country had witnessed over 200 deaths due to Typhoon Kalmaegi last week before heading into Vietnam, where five deaths were reported.
Signal No 5, which is the highest level of warning for typhoons, has been issued in the Philippines over southeastern Luzon, including Catanduanes and coastal areas of Camarines Norte and Camarines Sur. A Signal No 3 alert has been issued for Metro Manila and surrounding areas, PNA reported.
The Philippine National Police said today that all police units nationwide are fully prepared to respond to emergencies and provide assistance to affected communities.
At present, 996 evacuation centres are occupied, sheltering more than 102,000 families or approximately 319,000 individuals across the affected regions, the Philippines News Agency reported.
President Ferdinand Marcos Jr declared a state of emergency in the country on Thursday, which still remains in effect.
Meanwhile, local media reported knee-deep floods in some areas of Virac in Catanduanes.
Government work is suspended on Monday in the National Capital Region, Cordillera Administrative Region, and Regions I (Ilocos Region), II (Cagayan Valley), III (Central Luzon), IV-A (Calabarzon), IV-B (Mimaropa), V (Bicol), and VIII (Eastern Visayas).
Philippines President Marcos was cited in the PNA news outlet report as saying that the declaration of a state of emergency, done on the recommendation of the National Disaster Risk Reduction and Management Council (NDRRMC), will enable faster access to calamity funds, impose price controls on essential goods, and streamline procurement and relief operations.

